10195 WILLIAMS ROAD - MLS® # C8068771

$1,600,000

Property Details


Living Area
0 sqft.
Bedrooms
N/A
Bathrooms
N/A
Lot Size Area
N/A
Taxes
N/A
Type
Land Commercial
Style
N/A
Basement
Year Built
1981

Description

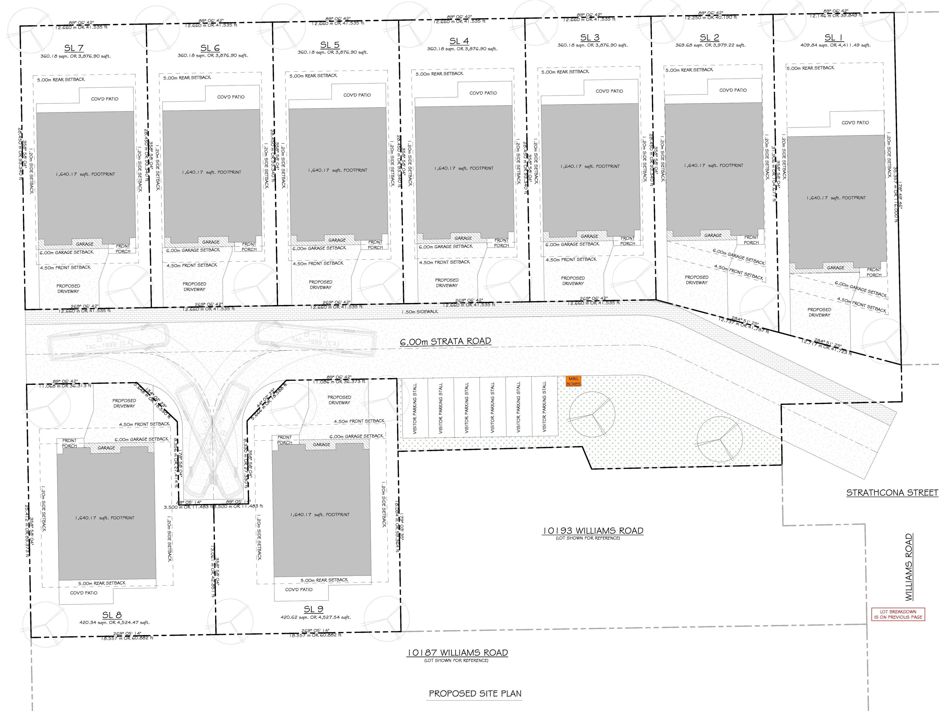
A rare development opportunity in one of Chilliwack's most desirable family neighbourhoods! To be sold in conjunction with 10195 Williams Road, two properties totalling 1.1 acre. Both homes currently tenanted and producing rental income. Rezoning approved with City of Chilliwack for development of 9 single family homes. Just minutes to Chilliwack's District 1881 and all amenities you may need. Don't miss out!

Listing Provided By

HomeLife Advantage Realty Ltd

Neighborhood Info

Send us your questions about this property and we'll get back to you right away.

Send this to a friend, or email this to yourself

CONTACT

  • Name:
    Diane Jacobi
  • Phone:
    604-792-0077
  • Mobile:
    604-819-1067
  • Office Phone:
    604 792 0077
  • Fax:
    604-792-1985
  • Address
    • #8-8337 Young Rd.,
    • Chilliwack, BC
    • V2P 4N8